Predator Strategies Shaped Orchid Mantis Evolution
Research led by Dr. Gavin Svenson, Curator & Head of Invertebrate Zoology at The Cleveland Museum of Natural History, shows that female orchid mantis adults mimic the appearance of flowers due to their ancestors’ association with flowers to capitalize on an easy source of food, pollinating insects.
The research, published in the online journal Scientific Reports, studied the evolutionary relationships of the orchid mantis and its distant relatives, finding that females in the orchid mantis lineage increased in size and gained conspicuous coloration over their evolutionary history in order to attract and prey on large pollinating insects such as bees.
Strikingly, the research also shows that males in the orchid mantis lineage evolved a completely different adult strategy: staying small and camouflaged in order to avoid predators while searching for mates. In insects, this morphological difference between males and females — known throughout biology as sexual dimorphism — is usually attributed to the need for females to be larger to maximize egg production. In this case, females evolved to be larger and more colorful to better attract and overpower prey, thus challenging the notion that most sexual dimorphism is caused by reproductive strategy.
Co-authors on the research included Dr. James O’Hanlon of Macquarie University in Australia, Dr. Frank Wieland of the Palatinate Museum of Natural History in Germany, and Case Western University Ph.D candidates Henrique Rodrigues and Sydney Brannoch. Both students are based at The Cleveland Museum of Natural History in Dr. Svenson’s lab.
“Finding the first case of males and females of a praying mantis species living extremely different adult lives was interesting and unique,” said Dr. Svenson, “but discovering the first case of arthropod sexual size dimorphism caused by female predatory success rather than investment in reproduction was both surprising and rewarding.”
A typical female orchid mantis, Hymenopus coronatus, showing conspicuous white coloration and large flower mimicking lobes on the legs. Credit Rick Wherley
A typical male orchid mantis, Hymenopus coronatus, showing brown and white coloration with transparent wings. Credit Rick Wherley
A typical male orchid mantis, Hymenopus coronatus, from Sarawak, Borneo showing brown and white coloration with transparent wings. Credit Gavin Svenson
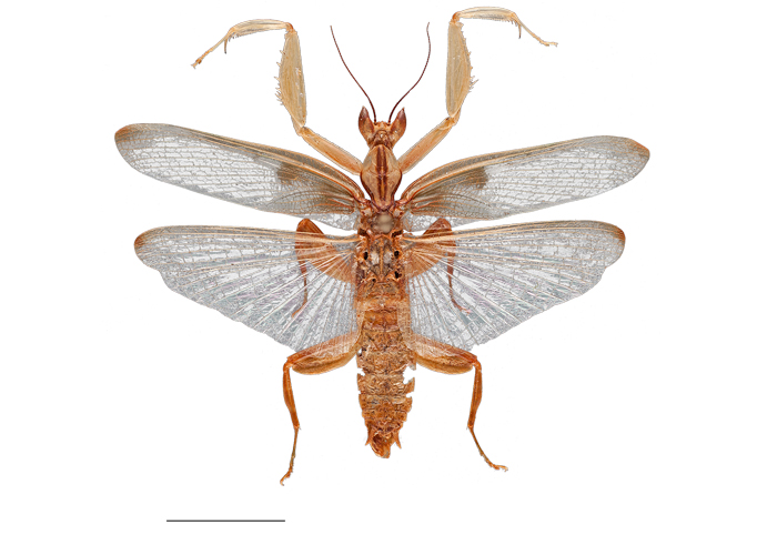
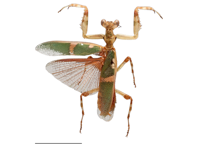
A typical female Theopropus elegans showing ancestral green, black, orange and white coloration. Credit Rick Wherley
A typical female Theopropus elegans showing ancestral green, black, orange and white coloration. Credit Rick Wherley
A mating pair of the orchid mantis, Hymenopus coronatus, showing extreme size difference between the male and female. Credit Jason Zhu
A typical orchid mantis nymph, Hymenopus coronatus, showing similarity in color and shape to a flower. Credit Matthew Nochisaki
-
-
The team was able to use its evolutionary reconstruction of the orchid mantis group to demonstrate that a size increase in floral mantises provided access to more prey options. This set the stage for the evolution of floral simulation through size, shape and color modifications that aided in attracting insect pollinators as prey.
The research was primarily focused on the systematics and taxonomy of a broader lineage of praying mantises, which included the orchid mantises. Acting on a suggestion by Dr. Wieland, the team took notice of a small group of extremely large and colorful mantises that grouped together in the evolutionary analysis. Although these relationships were never before outlined, they suggested a clear pattern of extreme sexual dimorphism in the orchid mantis lineage.
“This study is a demonstration of how basic systematics research can inform our understanding of evolution by establishing patterns not previously seen,” said co-author Rodrigues.
“Bringing together ecological research with an evolutionary analysis enabled us to explain how such a remarkable, flower masquerading lineage of praying mantis could evolve,” said co-author Brannoch.
“It was not our intention to study the orchid mantises specifically, but when a unique pattern emerges, one must pursue fascinating results,” said Dr. Svenson. “This is particularly true when the original research focus was to fix the classification system to reflect true evolutionary relationship. Finding patterns in your study group that inform broader evolutionary understanding is the holy grail of systematics research.”
Press Images
Go back to all announcements